1. Início
  2. >
  3. Imóveis
  4. >
  5. Terreno para venda
fotos: 15
Property image
/
Certificação Energética NC

Terreno para venda

Covilhã, Castelo Branco

0
0
120,000 €

Desde 232/mês

Descrição

🏭 Terreno Industrial Premium – Parque Industrial do Tortosendo (Covilhã)




Invista num lote estrategicamente posicionado no Parque Industrial do Tortosendo, um polo dinâmico e consolidado no concelho da Covilhã, ideal para expansão ou nova unidade industrial.


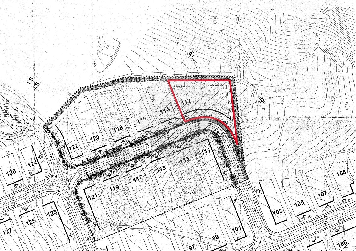
Lote N.º 112


 Área do lote - 4181,78 m2


 Uso - Industria


 Número de pisos - 1 - 100% e 2 Max. 20%


 Cércea máxima - 9 m


 Área de implantação - 2090,89 m2


 Área de construção - 2509,07 m2


 Volume de construção - 18818,01 m3


Porquê Investir Aqui?


Acessos Imbatíveis: Localização junto à A23, com ligação direta a Lisboa (2h30) e à fronteira com Espanha (1h). Perfeito para logística nacional e ibérica.


Ecossistema Próspero: Insira-se num cluster robusto com forte presença nos setores Têxtil, Agroindústria, Mecânica de Precisão e Logística.


Infraestrutura Garantida: Parque loteado e estruturado (Gás natural; Rede elétrica de BT e MT; Rede de água para consumo industrial; Saneamento básico; Iluminação pública; Cobertura de Fibra Ótica; Ruas interiores totalmente pavimentadas), assegurando uma instalação rápida e eficiente.


Apoio Municipal: A Câmara Municipal da Covilhã terá total interesse em facilitar a viabilidade e o licenciamento de novos negócios industriais, promovendo o crescimento do ecossistema empresarial do seu município.


O seu negócio merece a melhor base. Este não é apenas um terreno, é o *hub* estratégico onde a sua empresa irá prosperar.


Contacte-me hoje para mais detalhes.


;ID RE/MAX: 121291534-22

Localização

Pontos de Interesse

(Num raio de 2km)

A carregar pontos de interesse...

Ref. Imóvel: 121291534-22

Consultor Responsável

Agent Photo
Rita Freire

Vantagem Metro

Interessado neste Imóvel?

Simulador de Crédito Habitação

Montante do Empréstimo €60.000,00
Taxa (Euribor + Spread) 3.5%
Prestação Mensal: €232,43
Total a Pagar €111.568,60
Total de Juros €51.568,60
Gold Logo

Informações legais

Imóveis em destaque

Descubra as melhores oportunidades do mercado imobiliário português